Weigela Pruning Secrets for Richmond Reblooming Success
Quick Guide to Weigela Reblooming:
- Pruning Time is Key: Prune reblooming Weigelas *immediately* after spring flowers fade (late June/early July in Ottawa).
- The Right Cut: Snip off spent flower stems just above a healthy set of leaves or bud.
- Needs: Ensure 6+ hours of sun daily and well-drained soil.
- Benefit: Encourages new growth that produces summer/fall flowers.
- Need help? Request a quote for expert pruning services.
Introduction: Unlocking Weigela's Second Act in Your Richmond Garden
Hey Richmond gardeners! Ever gaze at your Weigela after its spectacular spring flower show and feel a tiny bit... greedy? Wishing it would do it all over again? You're not alone! These shrubs are absolute showstoppers, adding fantastic color and pollinator appeal to landscapes from elegant Manotick properties to our own lovely Richmond yards. They put on such a fantastic first performance, it seems a shame when the curtain falls.
But what if we told you a *second act* – another delightful flush of beautiful blooms later in the summer or early fall – is totally achievable for many modern Weigela varieties? It's true! Getting that coveted rebloom isn't about luck or complicated potions. Often, it boils down to one key garden task performed at the right time: *pruning*. Think of it as giving your Weigela a gentle nudge, reminding it the audience (that's you!) wants an encore.
Don't worry, this isn't complex horticultural surgery. We're here to share the simple, practical tips you need to encourage that second burst of beauty, ensuring your Richmond garden stays vibrant and buzzing long after spring. Let's unlock your Weigela's reblooming potential together!
Getting to Know Your Weigela: More Than Just a Pretty Bush
Okay, let's dive deeper into the wonderful world of Weigela! These popular shrubs are landscape favourites for a reason, adding cheerful colour without demanding diva-level attention. Think of them as the friendly neighbour of the plant world – generally easygoing and always happy to put on a show. Thankfully for us here in Ottawa, most Weigela varieties are perfectly happy in our Zone 5 climate, shrugging off those chilly winters like a true Canadian.


So, what does your Weigela need to thrive? Like most garden workhorses, it enjoys a good dose of sunshine – at least six hours a day is ideal for the best flowering. They appreciate well-drained soil but aren't usually *too* fussy. However, if you're gardening in areas with heavy clay, like parts of Greely, amending the soil with compost when planting is a fantastic idea to improve drainage and give your Weigela a great start. Proper soil preparation is foundational. Consistent watering, especially during dry spells, keeps them happy. For a broader look at plant needs throughout their lives, check out this helpful Understanding the Kenmore Plant Lifecycle Care Guide.
Now, here’s where it gets interesting. Not all Weigelas are created equal when it comes to bloom time. You've got your classic, old-fashioned types and the newer, fancy-pants reblooming varieties.
Old-Fashioned vs. Reblooming Weigela: What's the Diff?
| Feature | Old-Fashioned Weigela | Reblooming Weigela |
|---|---|---|
| Bloom Time | Spectacular Spring Show | Spring Show + Summer/Fall Encore(s) |
| Reblooming? | Nope, one and done | Yes! Often multiple flushes |
| Pruning Needs | After spring flowering | Crucial timing for rebloom |
| Size/Habit | Can get quite large, arching | Often more compact, varied shapes |
These reblooming types are a game-changer for extending colour in your garden design – imagine those vibrant trumpets adding pops of colour long after the initial spring rush featured in many Osgoode Spring Yard Ideas to Elevate Outdoor Living. They ensure your garden beds stay interesting deep into the season.
While we’ll get into the specifics of *how* to prune for rebloom later, it's different from the precision required for, say, Mastering Manotick Formal Hedges with Crisp Pruning Lines. Weigela pruning is more about encouragement than strict shaping.
Beyond the amazing blooms, many Weigelas offer stunning foliage in shades of burgundy, gold, or variegation, and they are absolute magnets for hummingbirds and bees! Keeping your plants healthy through practices like those discussed in Vernon Summer Preventative Garden Care Tips will maximize their appeal to these welcome visitors. Find local gardening advice from resources like the Master Gardeners of Ottawa-Carleton.
Weigelas truly offer multi-season interest, proving they are far more than just a fleeting spring fling. If keeping up with pruning and other garden maintenance tasks feels like too much, remember that professional help is available through various Clean Yards Landscaping Services to keep your landscape looking its best. Now, let's talk about unlocking that encore performance...
The 'Why' Behind the Shears: Benefits of Pruning Weigela (Besides Looking Tidy!)
Okay, let's be honest. Staring down a shrub with pruning shears in hand can sometimes feel like… well, work. But when it comes to your lovely Weigela, think of pruning less as a chore and more as unlocking a secret level of awesomeness! Sure, it helps keep things looking neat, but the real magic goes way beyond simple tidiness. There are some fantastic reasons to make those cuts, especially if you're hoping for that delightful second act of blooms.
Here’s the inside scoop on why pruning your Weigela is totally worth it:
- The Headliner: Encouraging Rebloom! This is the big one, folks, especially for those fantastic modern reblooming varieties. When you prune your Weigela *right after* its first glorious spring flower show concludes, you're essentially sending it a signal: "Okay, encore time! Let's grow some new stuff!" Many Weigelas bloom best on *new wood* – growth produced in the current season. Snipping off those faded flower stems encourages the plant to push out fresh shoots, and guess what often comes with those shoots? More flower buds for a late summer or early fall performance! Without this timely trim, your Weigela might just focus its energy on getting bigger, potentially skipping the encore.
- A Major Health Kick: Think of pruning as preventative healthcare for your plant. Removing dead, damaged, diseased, or awkwardly crossing branches instantly improves its well-being. This cleanup opens up the shrub's structure, allowing much better air circulation deep inside the plant. Why does that matter? Especially here in Ottawa, where summers can get humid (ask anyone gardening in Osgoode!), good airflow is your best defence against annoying fungal diseases. Thinning things out also lets sunlight penetrate deeper, boosting overall plant health and vigor. Getting rid of the pruned debris is also key – a task often included in general city garden maintenance services or a dedicated Greely Yard Cleanup Service.
- Managing Shape and Promoting Vitality: While we're not aiming for topiary swans here, strategic pruning *does* help maintain your Weigela's naturally graceful shape and prevents it from becoming a leggy, tangled mess over time. By selectively removing some of the oldest, thickest stems (right down to the base), you encourage vigorous new growth from the roots. Younger stems tend to produce more flowers, so it’s a win-win for looks and flower production! A well-maintained shrub fits beautifully into the overall garden design, especially when complemented by neat borders established through services like Mulching and Edging.
So, you see, those shears aren't just for looks. Pruning is a vital gardening practice that directly impacts flower production and long-term plant health. It's an investment in future beauty! If the thought of figuring out exactly what and when to prune feels overwhelming, remember there are many helpful Clean Yards Landscaping Services available. Whether you need comprehensive care or help with specific tasks like a Metcalf Garden Clean Up Service, professional assistance can keep your landscape thriving. As with any service, it's always wise to understand the specifics, so reviewing the Terms and Conditions is a good step. Give your Weigela that beneficial trim – you’ll be rewarded!
Pruning Approaches Compared
Pruning for Rebloom
Goal: Encourage a second flush of flowers later in the season.
When: Immediately after the main spring bloom fades (Late June/Early July in Ottawa).
How: Lightly trim off spent flower stems, cutting just above a healthy set of leaves or bud. Focus only on the flowered portions.
Result: Stimulates new growth that can produce late summer/fall flowers on reblooming varieties.
Rejuvenation Pruning
Goal: Revitalize an old, overgrown, or leggy shrub.
When: Late winter or very early spring (March/April in Ottawa), before leaves emerge.
How: Remove about one-third of the oldest, thickest stems right down to the ground. Can be done over 2-3 years for gradual renewal, or all at once for a hard reset (sacrificing spring flowers that year).
Result: Encourages vigorous new growth from the base, leading to a fuller, healthier shrub with better flowering in subsequent years.
Timing is Everything: The Weigela Pruning Calendar for Ottawa Gardeners

Alright Ottawa gardeners, let's talk timing! When it comes to getting that glorious Weigela rebloom, *when* you prune is just as important as *how*. Think of it like catching a bus – miss the window, and you might be waiting a while for the next show! Weigelas aren't overly dramatic, but they do respond best when you follow their preferred schedule, especially those lovely reblooming varieties. Get the timing right, and your shrub will practically send you a floral Thank You note later in the season with bonus blooms.
So, what's the magic moment? For encouraging rebloom on modern Weigelas, the absolute best time to prune is immediately after the first big wave of spring flowers finishes. Seriously, don't delay! As soon as those initial blooms start to fade and look spent (usually late June or early July here in Ottawa, depending on the specific variety and the year's weather), grab your sharp, clean pruners. Snip off the stems just above a healthy set of leaves, focusing on the parts that just flowered. This quick trim tells the plant, "Okay, Act One is over, time to grow for Act Two!" This encourages the new growth that will produce those welcome summer or fall flowers.
Why does this timing work? Because many reblooming Weigelas set their *next* round of flower buds on the *new growth* that follows the spring bloom. Pruning right away kickstarts this process. If you wait too long, say until late summer or fall, you risk cutting off the buds that were forming for *next year's* spring display. Oops! That's a common pruning mistake that leaves gardeners wondering why their Weigela didn't flower well the following spring. And if you prune *before* the spring bloom? Well, you'll just be cutting off the flowers you were waiting for! It's a delicate dance, but easy once you know the steps. Keeping things tidy after pruning is important too; while we focus on your yard, remember that keeping areas neat sometimes extends further, perhaps involving tasks like a City Property Cleanup Service handles for public-facing zones.
Now, what about a major overhaul for an old, overgrown Weigela that looks like it hasn't had a trim since the last Senators' Cup run? That's called rejuvenation pruning, where you might cut the whole shrub back hard. This is different and should be done in late winter or very early spring (think March or early April in Ottawa), before the plant leafs out. Doing this sacrifices the spring flowers for that year, but it encourages vigorous new growth from the base, revitalizing the plant for the long haul. This kind of significant pruning can lead to dramatic garden Transformations over time.
Simple Ottawa Weigela Pruning Timeline:
Late Winter/Early Spring (March-April)
Assess health. Perform rejuvenation pruning ONLY if needed for very old/neglected shrubs. Avoid general trimming. Review service details like Clean Yards Terms and Conditions if planning spring cleanup help.
Late Spring/Early Summer (Late May-June)
Enjoy the main flower show! Let it bloom.
Immediately After Spring Bloom (Late June-Early July)
**KEY REBLOOM WINDOW!** Lightly prune reblooming varieties, removing spent flower stems. This applies whether in Richmond or needing a Marionville Yard Cleanup Service.
Summer/Fall (July-September)
Watch for and enjoy the rebloom! Avoid significant pruning.
Late Fall (After Frost)
Minimal tidying only (broken twigs). Let the plant harden off for winter.
Stick to this timing, respect the difference between a light trim for rebloom and a hard cut for rejuvenation, and you'll give your Weigela the best chance to shine not once, but twice a year in your garden!
Get Snipping: Your Step-by-Step Guide to Pruning Weigela for Maximum Rebloom

Okay, gardeners, grab your trusty tools – it’s snipping time! Pruning your reblooming Weigela right after its spring splash isn't rocket science, but doing it right is key to coaxing out that second round of beautiful flowers later in the season. Don't worry, it's easier than figuring out Ottawa traffic on a Friday afternoon! Let's break it down, step-by-step.
Your Weigela Pruning Toolkit:
- Sharp bypass pruners: For clean cuts.
- Loppers (optional): For thicker stems.
- Rubbing alcohol or disinfectant wipes: *Crucial* for cleaning blades to prevent disease spread. Healthy plants need good garden hygiene, just like good Soil Preparation is key.
- Gardening gloves: Protect your hands.
- A bucket, tarp, or wheelbarrow: For easy cleanup.
Let's Get Snipping! Follow These Steps:
- The Once-Over: Look at your Weigela. Spot faded flowers, dead/broken/rubbing branches. Get a feel for its shape.
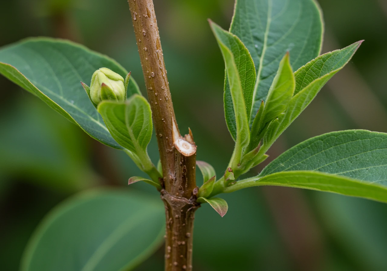
- The Magic Rebloom Cut: Find stems that just finished blooming. Follow them down to a healthy set of leaves or outward-facing bud. Cut cleanly about ¼ inch *above* them. Repeat for all spent flower stems.
- Deadwood Duty: Snip out clearly dead, damaged, or diseased wood. Cut back to healthy wood or the base. Removing unhealthy material is vital, similar to clearing dead grass before Sod Installation.
- A Little Thinning (If Needed): If crowded, remove 1-3 oldest, thickest stems at the base. Remove crossing/rubbing branches. This improves air circulation. It's a *light* tidy-up, not major surgery like some landscape Transformations.
- Tidy Time! Clean up all clippings. Use Ottawa's Green Bin program (check City guidelines) or arrange for waste removal if needed. Don't leave debris at the plant base, which could cause issues needing a more thorough City Garden Clean Up Service. For significant waste, a City Yard Cleanup Service can handle it.
That’s it! You've successfully pruned your Weigela to encourage that coveted rebloom. With a little luck and cooperation from the weather, you should be rewarded with another flush of flowers later in the season. Happy snipping!
Visualizing Weigela Bloom Cycles
Hypothetical Weigela Bloom Intensity (Reblooming Variety)
Note: Chart shows a potential pattern. Actual bloom intensity and timing vary based on variety, weather, and care. Proper pruning after the June peak helps encourage the later blooms.
Troubleshooting Common Weigela Issues in the Ottawa Valley
Even the most easy-going shrubs can hit a snag now and then, and Weigelas are no exception. Don't despair if yours isn't quite living up to its potential! Many common issues faced by gardeners from Metcalfe to Richmond are easily fixable. Let's tackle some frequent Weigela woes:
- Issue: My reblooming Weigela barely bloomed a second time (or not at all)!
Answer: Most likely pruning timing! Prune *immediately* after spring flowers fade. Late pruning removes forming buds. Also check for adequate sun (6+ hours) and water during dry spells. - Issue: My Weigela looks terrible after winter! Lots of dead-looking branches at the tips.
Answer: Common winter dieback in Ottawa. Wait for new growth in late spring, then prune dead tips back to healthy wood or buds. Mulching in fall helps. For major cleanup, consider professional Property Clean Up. - Issue: My Weigela is getting really tall and leggy, with fewer flowers down low.
Answer: Needs rejuvenation pruning. In late winter/early spring, cut ~1/3 of the oldest, thickest stems to the base. Repeat over 2-3 years. Or consider replacing it via a Garden Install service. - Issue: I think my Weigela has bugs or a disease!
Answer: Usually resistant. Check for aphids (blast with water or use insecticidal soap) or powdery mildew (improve air circulation via thinning, avoid overhead watering). Keep the area clean. Consistent Lawn Care reduces overall pest pressure. For widespread issues or cleanups in areas like Metcalfe, consider a Metcalf Property Cleanup Service. Large waste volumes from dealing with pests can be handled by a City Yard Cleanup Service.
Need expert eyes on your plant problems? Visit our Clean Yards Google Business Profile for reviews and contact info.
⭐ Weigela Wisdom: Quick Tips for Blooming Success ⭐
Feeling a bit overwhelmed? Here's your cheat sheet for Weigela success:
- Get the Timing Right (It's Everything!): Prune rebloomers *immediately* after spring flowers fade (late June/early July). Don't wait! If clippings overwhelm your green bin, an Ottawa Yard Cleanup Service can help.
- Prune Smart, Not Hard (for Rebloom): Snip spent flower stems just above healthy leaves/buds. Use sharp, clean bypass pruners. For large winter damage cleanup, especially near Metcalfe, a Metcalf Property Cleanup Service can assist.
- Sunshine & Good Drainage = Happy Weigela: Needs 6+ hours of sun. Likes well-drained soil; amend clay with compost. Find info on improving beds via Material Selection guidance.
- Tackle Winter Woes & Leggy Looks Strategically: Trim dead tips in late spring. Rejuvenate leggy shrubs by removing oldest stems at base in *late winter/early spring*. For whole-property tidying, an Ottawa Property Cleanup Service is available.
- Keep it Clean for Health: Remove pruned branches & debris promptly. Good hygiene prevents problems. For large cleanups, like in Metcalfe, book a Metcalf Yard Cleanup Service.
Your Weigela Questions Answered: Ottawa Gardener FAQs
Alright, fellow Ottawa green thumbs, let's tackle some of those burning Weigela questions! We get it – you want these blooming beauties to thrive from Barrhaven to Greely, and sometimes you hit a little snag. Here are answers to some common queries we hear:
You bet they are! Most modern Weigela varieties sold locally are rated for Zone 5 or even Zone 4, making them perfectly suited for our chilly Ottawa climate. While you might see some tip dieback after a particularly harsh winter (which is easily pruned off in spring), the plants themselves are generally tough customers. Just give them a sunny spot and decent drainage, and they should settle in nicely. Choosing varieties known for hardiness is always a good bet.
Good question! Weigelas prefer well-drained soil, and heavy clay can sometimes hold *too much* moisture, especially during wet periods. But don't despair! You can definitely improve your odds by amending the soil generously with compost when you plant. Dig a wider hole than the root ball and mix compost into the soil you removed before backfilling. This helps break up the clay and improve drainage right where the roots need it most. Raised beds can also be a great solution in really tricky clay spots.
Absolutely! While some older varieties can become quite large, many newer cultivars are naturally more compact. For keeping *any* Weigela in bounds, the key is regular, selective pruning. Remember the main trim for rebloomers happens right after the spring flowers fade. You can also manage size over time with rejuvenation pruning in late winter/early spring, removing a few of the oldest, thickest stems right down to the ground each year. This encourages bushier growth from the base rather than just getting taller. If pruning feels like a constant battle, maybe one of our friendly team members can help - you can learn more about our approach on the Clean Yards About Us page.
Encore performance anxiety is real! Besides timing your pruning correctly (immediately after spring flowers fade!), make sure your Weigela is getting enough sunlight – at least six hours daily is crucial for good flowering. Also, check its water situation; prolonged drought stress can inhibit blooming. Ensure it's not being over-fertilized with nitrogen (lawn fertilizer runoff can sometimes cause this), which promotes leafy growth at the expense of flowers. Lastly, some years are just less floriferous than others due to weather quirks. Keep up the good care, and hopefully, next season will be better! You can always send us feedback or questions.
That's the sign of a satisfying garden task! For smaller amounts, Ottawa's Green Bin program is fantastic. Cut the branches into manageable sizes (check the city's guidelines). But if you've tackled a big rejuvenation prune or have lots of other yard waste, hauling it yourself can be a chore. That's where a professional service shines. For instance, folks needing major tidying might look into a Marionville Property Cleanup Service if they're out that way, or more generally, an Ottawa Yard Cleanup Service can handle large volumes of green waste quickly and efficiently, saving you time and hassle. If you're considering booking services online, it's always good practice to understand how your information is handled, which you can review in our Clean Yards Privacy Policy. A Marionville garden clean up service or Ottawa garden clean up service can also specifically target garden waste.
Conclusion: Enjoy Season After Season of Weigela Beauty
So there you have it! Getting your Weigela to put on a dazzling encore performance isn't some complex horticultural sorcery reserved for garden wizards. It really boils down to giving your shrub the right encouragement at the right time – primarily, that quick snip-snip *immediately* after the spring flowers take their final bow. Imagine enjoying those cheerful trumpet blooms not just in spring, but seeing them pop up again later in the summer or fall! It's a fantastic way to keep your Richmond garden buzzing with colour and life for longer.
Remember the golden rules: prune rebloomers *right* after the spring show for that second act, give them plenty of sunshine (they're total sunbathers!), and save any major haircuts for late winter or early spring. See? Not so scary!
Of course, life happens. Between work, family, and maybe trying to figure out Ottawa traffic patterns, keeping up with every garden task can feel like juggling hedgehogs. If wrestling your Weigela into shape or handling other landscaping chores feels like too much, relax! The friendly Clean Yards crew is happy to lend a hand to gardeners all across Ottawa, from elegant Manotick landscapes to lovely Richmond yards. Give us a call via our Contact Us page for expert pruning or all-around garden care that lets *you* relax.
Got your own Weigela wisdom or reblooming triumphs to share? We'd love to hear them! And don't forget to browse our other blog posts for more local gardening tips and landscaping insights. Here's wishing you season after season of spectacular Weigela beauty!
